#pogoda
No ładnie, ładnie. Chciałbym mieć z rana takie widoki 😉
Zaloguj się aby komentować
Jakieś halo dzisiaj wokół księżyca a w dzień słońce poboczne. Coś to musi znaczyć jadę po papier toaletowy i ryż na wszelki wypadek
#pogoda #chmury



@Ravm zima idzie - więcej mikrokryształków lodu w powietrzu
Ale dzisiaj wysyp zdjęć nieba
Buzie widze w tym teczu!
Zaloguj się aby komentować
Pizga jak w kieleckim się potwierdza.
#heheszki #humorobrazkowy #kielce #wiatr #pogoda

Zaloguj się aby komentować
1 listopada
16C w cieniu
#pogoda #listopad

@Half_NEET_Half_Amazing Źle Ci?
No ja właśnie się opalałem ¯\_(ツ)_/¯
Co 2 lata temu na 1.11 jest piękna pogoda. Poszedłem w cienkiej bluzie na godzinny spacer z psami "z nogi na nogę" i było mi lekko za ciepło xD Sylwestra 2022 i tak nic nie pobije i 18 stopni po 4 w nocy.
Zaloguj się aby komentować
#pogoda #dziendobry
Potężna wichura, łamiąc duże drzewa, trzciną zaledwie tylko kołysze.

@30ohm U mnie już się uspokoiło ale lekkich szkód narobiło, dzień dobry. ( ‾ʖ̫‾)
Zaloguj się aby komentować
Uwielbiam październik.
Lubię wstać gdzieś 630, wypić kawę lub arbate, przelukac hejto
Potem pieseł na spacer postresowac trochę pizd z wykopu że nie ma kagańca -a tak na serio- przejść się alejkami, ulicami pełnymi kolorowych drzew i mgły. Potem wrócić do pracy tj mojego biura w mieszkaniu i zrobić tickety co to MI się wydają najważniejsze, wypić butelkę wody, jeść jeszcze nie czas, nie jem przed południem. Potem z żoną na kawę (mam wyjebane w efekt latte) i idziemy razem na długi spacer a na koniec zakupy bieżące gówna jakieś typu woda, coś do jedzenia. Bierzemy młodą ze szkoły, przejażdżka po mieście bo bardzo lubi, wracamy do domu, ja kończę jakieś tam służbowe duperele, potem wygłupy (nie codzien bo nie zawsze jej się chce) z dzieciakiem i czas na mroczny popołudniowy... Nooo czas.
Albo coś razem oglądamy albo idę i gram co tam mam ogurat do grania, w tym roku to bf6.
Mega mi siada granie na jesieni i w zimie
Od wiosny do lata gram tyle co nic. W bf6 od premiery mam już 50b godzin.
Albo wstać rano i ogarnąć po ciemku jeszcze z 20 stron książki. To też lubię.
Nie lubię jak pada bo wtedy tylko bieżnia w moim biurze albo na siłowni a tam to nie lubię.
Jesień jest spoko. Nawet listopad. Grudzień też bo mam dobre wspomnienia i staram się by u nas w domu też był spoko.
Stycznia nie cierpię
A potem już coraz lepiej.
#pogoda #jesien #takaprawda
@Michumi Też znajduję zalety października/listopada, to oczywiste. Jest jakiś klimacik inny, aura zachęca do lekkich zmian w balansie aktywności, stąd zyskują te wcześniej nieco zaniedbywane. Aczkolwiek nadal jest jak jest. Mi osobiście to tylko - odbiera możliwości. Wszak wszystko to mogę robić równie dobrze w lipcu, bo czemu by nie. Ale za to w listopadzie nie mogę wszystkiego tego co w lipcu.
Zaloguj się aby komentować
Szybka burza z gradem i piorunami, a teraz piękne dwie tęcze
#fotografia #pogoda


U mnie bez gradu się obyło

@Byk Piękne zjawisko
Przez tę burzę prawie zginąłem, bo się przewód z prądem nad ulicą urwał
@PanNiepoprawny aj tam od razu zginął - trochę by Cię popieścił i tyle
Akurat w tej burzy wracałem, rowerem. Najpierw widziałem jedno homokomando od północy, a później podwójne od południa. Chcom nas fszyskich zagejować!
Zaloguj się aby komentować
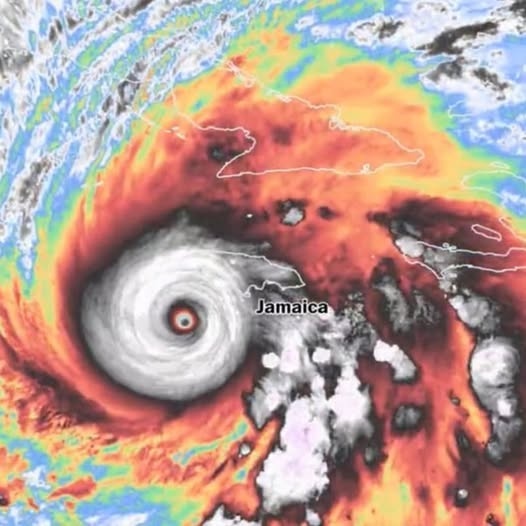
UWAGA!
Huragan Melissa który jest obecnie nad Jamajką osiągnął 5 (najwyższą) kategorię !
Tuż przed uderzeniem w Jamajkę jeszcze przybrał na sile, generując teraz WIATR CIĄGŁY o prędkości 295 km/h i PORYWY dochodzące do 360 km/h!
Ciśnienie w oku dodatkowo spadło do 892 hPa!
Sonda zrzucona w południowej i południowo-wschodniej części ściany oka huraganu zarejestrowała na wysokości ok. 150 metrów nad poziomem morza porywy wiatru przekraczające 400 km/h.
film:
https://www.facebook.com/reel/815578784542508
TO JEDEN Z NAJSILNIEJSZYCH HURAGANÓW W HISTORII OBSERWACJI!!!
Regularne info na stronie: https://www.facebook.com/KataklizmyPLWR
To w ramach informacji ze świata.
W ramach ostrzeżenia uważajcie na zbliżająca sie nad polski internet huraganową dezinformację klimatyczną, przypisującą wszystko co tylko można działaniom człowieka. Bo teraz już nie jest to tylko globane ocieplenie lecz zmiany klimatu a nawet katastrofa klimatyczna pod która można podpinać już wszystko.
#pogoda #jamajka #huragan #wiadomosciswiat #katastrofanaturalna #ciekawostki

Ciekawe czym to może być spowodowane? Pomyślmy.
@DKK pierdami krów
Albo dla nie albo ktoś sieje ferment. https://earth.nullschool.net/#current/wind/surface/level/orthographic=-77.39,18.97,3415/loc=-77.339,18.757
@4pietrowydrapaczchmur JAAZDAAAAAAAAAA
Zaloguj się aby komentować
Nagranie z wnętrza oka huraganu Melissa. Zabójcze piękno natury.
Żródło: https://x.com/FlynonymousWX/status/1982911146266075605
#huragan #jamajka #pogoda
Zaloguj się aby komentować
ChatGPT podsumował ostatnie doniesienia dot. huraganu Melissa. Jest grubo...
Huragan Melissa – rekordowa siła. Kat. 5, ciśnienie 892 mbar, tuż przed Jamajką
Huragan Melissa pozostaje katastrofalnym cyklonem 5. kategorii i właśnie zbliża się do zachodniego wybrzeża Jamajki. Według danych z ostatniej godziny (28.10, ok. 21:00 UTC), samoloty rozpoznawcze Hurricane Hunter odnotowały ciśnienie w centrum na poziomie 896 mbar – to najniższa wartość w tym sezonie atlantyckim i jedna z najniższych w historii.
Parametry (aktualne):
-
Kategoria: 5 (maksymalna)
-
Stały wiatr: ok. 290–300 km/h
-
Porywy: do 350 km/h
-
Ciśnienie: 892 mbar
-
Ruch: WNW, ok. 15 km/h
-
Średnica oka: ~35 km
-
Temperatura powierzchni oceanu: 29–30°C
Oko Melissy znajduje się zaledwie kilkadziesiąt kilometrów od zachodnich wybrzeży Jamajki – uderzenie w ląd spodziewane jest w ciągu najbliższych godzin. Prognozy mówią o ulewach sięgających 100 cm deszczu i falach sztormowych do 4 metrów. Już teraz część południowych parafii kraju pozostaje bez prądu, a władze nakazały ewakuacje z nisko położonych terenów.
Meteorolodzy porównują Melissę z huraganami Patricia (2015) i Wilma (2005) – oba miały podobne wartości ciśnienia, jednak Melissa utrzymuje ekstremalną siłę wyjątkowo długo i porusza się wolniej, co zwiększa ryzyko katastrofalnych zniszczeń.
To także przykład tzw. rapid intensification – jeszcze 36 godzin temu Melissa była huraganem 2. kategorii. Wzrost o trzy poziomy w tak krótkim czasie to efekt rekordowo ciepłych wód Atlantyku i sprzyjających warunków atmosferycznych.
https://www.youtube.com/watch?v=rl-EksTwwmA
#pogoda #wiadomosciswiat #kataklizmy #huraganmelissa


@Ciuplowski po⁎⁎⁎⁎ne, ludzie na tej wyspie nie mają nawet gdzie uciec. mam nadzieję, ze mają pobudowane schrony
@FriendGatherArena Zdarzało mi się jechać ok. 300 km/h motocyklem i wyprostować się znad owiewek... niepojęta siła.
@Ciuplowski 28.10, ok. 21:00 UTC
Info z przyszłości zawsze na propsie
@Nemrod ha! nie zwróciłem uwagi XD
Zaloguj się aby komentować
i chuy w duppe
Ja przy 80 - 90 km w porywach sie trzese bo niezle pizga na wiosce, ale te prawie 300 na godzine to nawet ciezko sobie wyobrazic
Chyba im porozplątuje te dredy xD
Zaloguj się aby komentować
Jak co roku o tej porze, ciemno robi się na dworze (a do tego szaro, mokro i zimno). I jak co roku jesteśmy już po tej udręce ze zmianą czasu. Dla zaktualizowania danych sonda :)
#pogoda #jesien #zima #zmianaczasu #udreka
Czy jesteś za dalszym utrzymywaniem zmiany czasu z letniego na zimowy i odwrotnie?
Ja pi⁎⁎⁎⁎le... ale ciemno.
Ja mam kompletnie wywalone na to czy czas na zegarku będzie się zgadzał z czasem słonecznym - jak dla mnie to nawet możemy przejść na UTC+3 (obecny letni to +2) byle po południu jak najdłuzej było jasno.
@DirtDiver a gdzie odpowiedź Mam to w d⁎⁎ie?
Zaloguj się aby komentować
#gownowpis #pogoda #windy
Halo, Słowacja jesteście z nami jeszcze?
Takiego echa to jeszcze nie widziałem.

@Byk co toza warstwa?
@Opornik radar pogodowy, na Windy już nie uświadczysz.
Zwykle te artefakty po radarze, nie wyglądają tak spektakularnie.
@Byk jebło bassem
Koszyce... Cyganie zajebali antenę
@osn_jallr xd
Zaloguj się aby komentować
Wczoraj poszedlem na zajecia w krotkim rekawku i w krotkich spodenkach. Bylo to bez sensu, bo mialem w planach od razu po zajeciach isc pobiegac do parku, do czego nie doszlo. A dlaczego uznalem, ze to nie bedzie problem? Bo mieszkam niedaleko uczelni, a MPK moge podjechac az pod budynek, w ktorym mam zajecia. Dlugosc odcinka, jaki mialbym przejsc wynosilby moze 200 metrow.
Po przyjsciu od razu przywitali mnie znajomi z kierunku poubierani w kurtki, niektorzy w zimowe, wyraznie zszokowani tym, ze jestem ubrany tak, a nie inaczej. I to ja bylem bardziej zdziwiony, no bo kiedy wyszedlem z domu, to temperatura na dworze nie byla wiele nizsza, byly moze z 3 stopnie roznicy? Bardzo delikatny chlod, ale w zaden sposob nie przeszkadzal mi w tym, zeby stac na dworze. Jeden kolega powiedzial, ze jak nie bede przeziebiony dzisiaj, to mi zazdrosci takiej odpornosci. Bo przeciez przeziebienie to nie od wirusa, prawda? XD
Jak juz wracalem z uczelni, to co chwile widzialem, jak ludzie poubierani w jakies kurtki zimowe gapia sie na mnie na przystanku, tak samo jak kierowcy samochodow.
Jeszcze jak jest zimniej, bo powiedzmy 5 stopni na dworze - wyobrazcie sobie reakcje tych wszystkich ludzi, kiedy wychodze bez kurtki. To zawsze jest temat jakichs durnych rozmow. Na nic zdaja sie tlumaczenia, ze ej, jest 5 stopni, ale ja ubieram dwie bluzy, to naprawde wystarcza. To nie dziala. Dla ludzi wokol ubranie kurtki pociaga za soba uruchomienie jakichs specjalnych procesow termodynamicznych, ktore ogrzewaja organizm. W podstawowce mowili cos o ubiorze na cebulke, ale czasem mam wrazenie, ze tylko ja o tym slyszalem.
I taka mnie mysl naszla: na jakiej podstawie ludzie decyduja, co nalezy ubrac? Bo po wczoraj moge jasno powiedziec, ze nie po temperaturze i pogodzie. To tylko w Polsce ludzie do ubioru potrzebuja znajomosci miesiaca?
#przemyslenia #pogoda

@solly-1 Dobra cienka 'wiatrówka', komin i kaptur albo czapka, bo to już ten wiek, i całą zimę można tak śmigać
@zuchtomek chyba 50 metrów do auta xD
I to jak jest odśnieżone, ja bym tak umarł xD
@solly-1 ja zimą co najwyżej czapkę zakładam do bluzy, ale to dlatego że albo jadę samochodem albo coś robię i klienta. Chociaż w poprzedniej pracy jak robiłem po halach produkcyjnych gdzie bywało zimniej niż na dworze to też tylko w bluzie byłem
Sama temperatura to za mało. Ważna jest też wilgotność powietrza.
@Konto_serwisowe no i predkosc wiatru
Zaloguj się aby komentować
ludzie nie lubią wracać z urlopu z różnych powodów. Moim jedynym powodem jest zasrana polska czapa z chmur.
Wsiadasz sobie w słonecznym miejscu, lecisz i słonko obok się uśmiecha, a potem jest obniżanie pułapu, wylatujesz z szarej jak szmata szkolnej sprzątaczki chmury i już wiesz że to słonko zobaczysz na dłużej jakoś w kwietniu.
Echhhhhh....
#gorzkiezale #zalesie #pogoda #urlop #podroze

@Maciek ale też działa w drugą stronę. Ja już się jaram, że w styczniu będę uciekać od tej szaroburej pogody, okraszonej ciapą na drogach i chodnikach, by po kilkunastu godzinach lotu, rozkoszować się upałem przez kolejne 2 miesiące.
Wystarczy dobrze planować urlop. 😉
@WilczyApetyt dlatego latamy w październiku
Zaloguj się aby komentować
No elo jak tam u was? U mnie już zima.
#sniezyca #zima #pogoda #dom #wies #monitoring #noktowizja

Nie dramatyzuj, to mgła
Zaloguj się aby komentować
Nawet nie chce sobie wyobrażać jak jest zimno na dworzu, jak zobaczyłem te gołębie 🥶 #pogoda #gownowpis


@l100e mam kosę odkąd mi nasrały na głowę
@l100e najwyraźniej za ciepło skoro te szczury jeszcze żyją
Widzieliście kiedyś małe gołębie?
Zaloguj się aby komentować
w końcu pozytywne efekty "japońskiego stylu recyklingowego", który stosuję od zawsze, czyli opłukiwania odpadów recyklingowych przed wyrzuceniem.
a mianowicie przyjemniej mi się je zbierało po tym jak huragan porwał wszystkie kubły i roz⁎⁎⁎⁎⁎olił m.in. pełen kosz kartonów, plastikowych tacek, puszek i opakowań z jedzenia na dystansie pięciu ogródków wzdłuż ulicy. w tym spora część zebrała się bezpośrednio w drzwiach u sąsiada. myślę że doceni że umyte
na zdjęciu zostało tylko kilka butelek, cała reszta radośnie hulała po okolicy. dzisiaj jeszcze wieje więc kubły trzymam na płask.
#uk #pogoda #szkocja #recykling #gownowpis



U mnie w #irlandiapolnocna drzewa padają jedno po drugim, z nieba co chwilę ściana wody, a poziom w rzece wybił na maksa. Za chwilę ide na spacer
Ps. Mój sąsiad już się poddał.

@michalnaszlaku jak w nocy patrzyłem na windy.com to pomyślałem że przynajmniej nie mieszkam w irlandii xD
Zaloguj się aby komentować
Będą #grzyby ale nie dzisiaj
#pogoda #dziendobry


@Gepard_z_Libii no u mnie może temperatura będzie, ale sucho
@zomers u mnie też długo nie padało, sucho i nawet przymrozki już były po-3 w nocy.
Zobaczymy, niech popada, oby tylko w miarę ciepło było przez tydzień i będzie można iść do lasu
Zaloguj się aby komentować
Dobra, jadę do lasu, zobaczę co tam się dzieje. Skorzystam przy okazji z pogody. Pochodzę, potem posiedzę przy kawce z termosu i ponasłuchuję w ciszy odgłosów leśnego życia. Nożyk, piła i rękawiczki w plecaku no i jazda...
Tymczasem do zobaczyska
#las #rower #pogoda #jesien #relaks #cisza #survival #buschcraft

@Eber zazdroszczę! Udanej wycieczki
@ciszej z podziękowaniem!
@Eber miłego analogowania
@onpanopticon dzięks, dobrze powiedzine
@wonsz o kurdex, następnym razem muszę się przygotować bardziej
Zaloguj się aby komentować



