Zdjęcie w tle
Stawonogi

Społeczność

Stawonogi

2

Trochę stawonogów na Hejto.

Poraj (Dicerca moesta) to gatunek chrząszcza z rodziny bogatkowatych o owalnym ciele. Ubarwienie brązowawe.


W Polsce występuje bardzo rzadko w lasach iglastych i jest objęty ochroną gatunkową.


Długość ciała 12-17 mm.


Postacie dojrzałe są mało ruchliwe, niechętnie fruwają; są poławiane od maja do sierpnia. Larwy żyją w drewnie pod korą młodych, obumierających drzew iglastych, zwłaszcza sosen, w Finlandii również świerków.


#porannyrobal #chrzaszcze

6c3ebfd0-ddaf-490f-b5fd-d13a7b85ee3d
cdede6e6-dddf-41e0-8226-268ff8cd53dc
485f1c46-ce12-4c75-8922-c0fb923f3060
45fc4cab-ab1b-4294-9ef5-61e7fa88e570
Tuniex

@Onestone szybko przewijałem i przeczytałem 12-17cm przy robaku, aż musiałem cofnąć.

Onestone

@Tuniex 12-17 cm to przy innym "robaku" by się zgadzało

Zaloguj się aby komentować

Spuszczel pospolity, spuszczel domowy (Hylotrupes bajulus) to chrząszcz z rodziny kózkowatych o wydłużonym, dość płaskim ciele. Kolor ciemny (czarny lub brunatny).


To gatunek kosmopolityczny. Występuje prawie na całym świecie. W Polsce spotykany na terenie całego kraju. Można go spotkać w starych elementach drewnianych iglastych domów oraz w lasach


Przez większość swego życia owad ten występuje jako larwa żerująca latami w drewnie.

Żywi się głównie wysuszonym drewnem iglastym. Spuszczele atakują głównie drewno świeże mające od 1 roku do 20 lat ale można spotkać spuszczela także w drewnie mającym kilkadziesiąt a nawet kilkaset lat.


To jeden z największych szkodników drewna. Jedyną ochroną przed tym chrząszczem jest impregnacja drewna konstrukcyjnego.


Duża ilość żerujących larw może doprowadzić do zawalenia się konstrukcji dachu.


Larwy tego chrząszcza żyją nawet 10 lat, podczas gdy postać dorosła zaledwie dwa tygodnie.


#porannyrobal #chrzaszcze

3d234bca-ebf3-45cc-abcb-ec56e0b4f365
8d530fa6-77a0-4d02-98dc-8cb16781d7ad
23068d17-f403-483d-b96a-5b9dfb4cfc42
9422633f-0d5f-438e-9035-99320801c46c
Onestone

@UmytaPacha dziś wyjazd, więc musiałem zrobić nocnego robala

ruhypnol

Takiej nazwy na benisa jeszcze nie słyszałem

Michot

@Onestone Jaki to jest skurwol. Piękne belki nośne potrafi przerobić na proszek. Jakie to jest rozczarowanie, gdy się coś rozbiera i w myślach już tkwi plan na wykorzystanie sezonowanego dziesiątki lat drewna..

Zaloguj się aby komentować

Niepylak apollo (Parnassius apollo) to bardzo rzadki w Polsce motyl dzienny z rodziny paziowatych.


Jest to duży owad, rozpiętość skrzydeł do 8 cm. Białe ubarwienie skrzydeł z czarnymi plamkami ma cel ochronny. Dzięki niemu motyl zlewa się z barwą skał wapiennych i białych kwiatów. Nazwę "niepylak" zawdzięcza temu, że nie ma łusek, dlatego nie zostawia na palcach pyłku.


Lata dość wolno trzepocącym lotem, przechodzącym w szybowanie. Nie jest płochliwy. Siada często na kwiatach ostów.


Po kopulacji samiec buduje na odwłoku samicy chitynową osłonkę, która zabezpiecza samicę przed próbą zapłodnienia przez innego samca.


Gatunek ten nie jest zagrożony wymarciem. Ma status LC w Czerwonej Księdze Gatunków Zagrożonych. W Polsce motyl ten znajduje się pod całkowitą ochroną prawną i jest krytycznie zagrożony wymarciem. Znajduje się na liście Polskiej czerwonej księgi zwierząt.


Istnieje pewne zagrożenie, które istotnie może wpłynąć na populację tego motyla. Otóż samce pojawiają się zwykle dużo wcześniej (nawet 2 tygodnie) niż samice. W przypadku fatalnej pogody większość samców może zginąć, przez co samice mogą nie wydać na świat potomstwa.


Do odtwarzania populacji tego motyla w Polsce przyczynia pewien amator entomolog - pan Jerzy Budzik. Tu artykuł na ten temat.


#motyle #porannyrobal

f719bd88-4413-40c4-a9b8-0313f3f4f1be
147b1924-82aa-4fd1-a555-294ed47bdda7
bde8211c-b633-4cf6-8e79-478867596da9
b1243279-37b3-40f7-812d-174668db365e
542cd270-18ee-44cc-811d-61a70acc0c27
mk-2

Dawno nie widziałem, dawno

Zaloguj się aby komentować

Grubosz (Polysarcus denticauda) to gatunek owada prostoskrzydłego z rodziny pasikonikowatych, jeden z największych przedstawicieli podrodziny długoskrzydlakowatych.

Długość ciała wynosi 22-44 mm.


W Polsce mamy pojedyncze doniesienia o występowaniu tego gatunku w południowej części kraju. Preferuje bujne łąki.


Postać dorosłą można obserwować krótko, bo od czerwca do połowy lipca. Śpiew jest głośny i złożony z pięciu faz.


Jego pokarmem są rośliny.


#porannyrobal #owady

9e231d79-38b9-4c20-a353-8244408dbfb3
89e045af-1591-4a35-b5aa-c6809d9a44e5
9e4b29f8-77ef-4993-a8bb-6d8e9effbe1c
f86f1984-452f-4b45-8e3f-0e16334a9e78
mk-2

@Onestone tego opisz, podobno żeruje na dzikich pszczolach i nie wolno go dotykać palcami

3b75836c-ac75-4245-b482-db5cf60d2627
Onestone

@mk-2 dorzucę do listy i wrzucę za kilka dni.

winiucho

@Onestone Mam fotki z oleicą wykopującą dziurę w ziemi

Zaloguj się aby komentować

Dziś owad z bardzo fajną nazwą - gliniarz naścienny (Sceliphron destillatorium).

Jest to gatunek błonkówki z rodziny grzebaczy szczerklinowatych. Ma smukłe czarno-żółte ciało.


Skąd nazwa? Spójrzcie na jego gniazdo (pic rel).


W Polsce jest gatunkiem występującym rzadko, ale od roku 2000 rośnie liczba jego obserwacji.


Wiedzie życie samotnika, nie atakuje człowieka. Dorosłe owady polują na pająki, które umieszczają w gniazdach jako pokarm dla larw, a same żywią się nektarem.


#porannyrobal #owady

8e354e5b-5b18-4755-98b4-9a6d8542cefa
bcd4467a-1836-4c55-8df4-57c94af20226
7d31469a-f934-4bac-bfd2-6399fe95e49f
8d6f04ab-5159-4586-b7a5-42295685647d
Bystrygrzes

zawsze myslalelm, ze to jakas zmutowana osa

Zaloguj się aby komentować

Dziś coś specjalnie dla @cebulaZrosolu i @Cybulion - owad zwany Śmietka cebulanka (Hylemya antiqua).


Ta muchówka jest poważnym szkodnikiem cebuli.

Na jednej cebuli może żerować nawet do 50 larw.

Żerują około 20 dni, a zaatakowana cebula szybko się psuje i gnije.


Długość ciała wynosi 6 mm. Owad bardzo przypomina muchę domową.


#porannyrobal #muchowki

c72bab3c-0ca4-4850-9590-a6fd4253a0c5
ebd59732-b88d-4526-8a8d-f4642e510ca3
7c3e732b-a874-4481-9313-45cbc93e546c
762ed553-92a7-4033-9d1d-3fcdc431d025
cebulaZrosolu

@Onestone aż mnie wszystko zaczęło swędzieć:/

vredo

@cebulaZrosolu Będę bronił cebulka;)

0ce03cc3-44ab-4827-ac31-5a0924bfc87b

Zaloguj się aby komentować

Mrówkolew pospolity (Myrmeleon formicarius) to owad podobny nieco do ważki, od której odróżnia go przede wszystkim budowa czułków, zakończonych buławką. Skrzydła w stanie spoczynku składane są na bokach odwłoku.

Larwa ma ciało spłaszczone grzbietowo-brzusznie. Głowa wyposażona jest w aparat gryząco-ssący oraz duże, piłkowane żuwaczki. Larwa ma odnóża.


To owad obecny na terenie całego kraju. Owady te można spotkać najczęściej na wydmach, w suchych lasach sosnowych, na piaszczystych drogach leśnych. Postać dorosłą trudniej zaobserwować. Larwy można znaleźć szukając charakterystycznych lejków.


Larwy tworzą w piasku dołek o średnicy około 5 cm. Larwa kryje się na jego spodzie zakopana w piasku. Lejek stanowi pułapkę dla przechodzących owadów, głównie mrówek. Gdy ofiara wpadnie w dołek, larwa sypie piaskiem na ścianki, żeby ofiara nie mogła się z niego wydostać, chwyta owada i wysysa go.


Postać dorosła poluje na różne drobne owady pośród roślinności. Larwa zaś poluje na mrówki.


#porannyrobal #owady

30580b99-04bb-4c56-9f63-d5f9f03ebba4
cfc51202-2b04-44de-a823-e77b88624228
de25e617-724e-414e-bc44-fb998ae4a2e7
f9fc7766-a8d9-430f-889a-1e21747c14f8
0e6114d9-66e7-48aa-9afc-9cbec502f239
enkamayo

W końcu widzę go w postaci dorosłej.

Onestone

@enkamayo jako larwa groźniejszy.

enkamayo

@Onestone wyobraź sobie, że jesteś mrówką i słuchasz historii o takim potworze czyhającym gdzieś tam, a ciebie właśnie przyuczają do wypraw po pokarm.

Zaloguj się aby komentować

Motyle w Polsce mają piękne nazwy gatunkowe i dziś jeden z takich, którego nazwa, według mnie, jest bardzo ładna: rusałka żałobnik (Nymphalis antiopa).


Rozpiętość przednich skrzydeł u niektórych osobników osiąga nawet 90 mm. Skrzydła na wierzchu mają aksamitny wygląd o kawowo-brunatnej barwie z żółtą obwódką i rzędem błękitnych plamek wzdłuż obwódki od wewnętrznej strony.


Podstawę jego diety stanowią fermentujące owoce i soki wyciekające z uszkodzonych drzew.


W 1967 r. Poczta Polska wyemitowała znaczek pocztowy przedstawiający rusałkę żałobnika o nominale 60 gr, w serii Motyle. Autorem projektu znaczka był Jerzy Desselberger. Znaczek pozostawał w obiegu do 31 grudnia 1994 r.


#porannyrobal #motyle

25dc46e4-bbcf-425d-a049-6f13b8bb64fd
b659381f-abdf-4a2c-9382-8330c4fb65d4
460b1261-4fea-4b55-b964-081d1fcdbd43
e7a85b01-9f1b-4a54-8f55-4936e4912a63
0b451d80-95ac-4905-83ac-d91000c79272
Onestone

@Sofie chyba 2 lata temu pierwszy raz spotkałem tego motyla na podwórku i naprawdę robi wrażenie!

Sofie

@Onestone na pewno, ja się cieszę jak spotkam rusałke Admiral bo też robi wrażenie, zdażało mi się też pare razy paź królowej zobaczyć ale to już nie takie łatwe

Zaloguj się aby komentować

Dziś gatunek często występujący w hodowlach - karaczan madagaskarski (Gromphadorhina portentosa). U jednych hodowców, będzie on dlatego, bo jak na owada jest duży, na ciekawe kolor i się błyszczy, u innych - jest on tylko karmą dla innych zwierząt.


Jak sama nazwa wskazuje, karaczany te występują na terenie Madagaskaru.


Dostają do 6-8 cm długości, nie mają skrzydeł.

Prowadzą nocny tryb życia i są wszystkożerne.


Gdy się go zdenerwuje, np. podniesieniem zaczyna dosyć głośno syczeć.


Żyją do około 1 roku.


#porannyrobal #karaczan

25b56636-649b-44e2-bea8-9252069aaa5f
8b34fe2c-0782-4f3d-8bb0-bbfb46e17fdd
dc1f61ad-6fa9-4a67-b4ba-1a8457c677f4
51fcca8b-be88-4fd8-a25f-e2683b46a311
l100e

karmiłem takimi pająki 😃

Zaloguj się aby komentować

Kornik drukarz (Ips typographus) to gatunek chrząszcza z podrodziny kornikowatych.


Dorosłe chrząszcze są barwy ciemnobrązowej, długości 4–5 mm, walcowate i krępe, lśniące.


Podstawową rośliną żywicielską jest świerk pospolity, ale zasiedlać może też sosnę, jodłę, limbę i modrzew.


Atakuje drzewa chore, osłabione i stare. Może żywic się również na drzewach ściętych lub przewróconych z powodów materialnych.


W lasach naturalnych jego działanie jest pożyteczne - w drewnie martwych świerków i w korytarzach larwalnych kornika drukarza rozwija się około 100 gatunków chrząszczy uznawanych za ginące lub rzadkie.

Luki, które powstają w drzewostanach są natychmiast zasiedlane przez gatunki światłolubne.


W lasach gospodarczych kornik jest uważany za szkodnika. Szczególnie niebezpieczny w monokulturach, gdzie może atakować również drzewa zdrowe.


#chrzaszcze #porannyrobal

ab72f733-bfdd-40ec-ab9b-b2aaa2e7bff6
64d0e03e-3422-4ac6-b46f-23baf0636950
8c7ea111-f9ce-42f1-a2b1-6369cac63b24
27f4e72e-8756-4b85-b7ac-d20ab79d416d
1e3d4d93-5060-4957-bfb8-d5903d4e8b29
Foofy_Shmoofer

@Onestone toż to chrabąszcz, kizi mizi futerko ma

Zaloguj się aby komentować

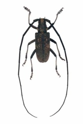
Żerdzianka sosnówka (Monochamus galloprovincialis) to chrząszcz z rodziny kózkowatych. Ma bardzo długie czułki. U samca mogą być aż trzy razy dłuższe od długości ciała.


Długość ciała wynosi 19-25 mm.


Larwy żerują w drewnie sosen, świerków i modrzewi. Dorosłe osobniki odżywiają się pędami, igłami i korowiną sosny.

Występują liczbie na terenie całego kraju.


Larwy żyją 2 lata, a dorosłe osobniki tylko 3 miesiące.


#porannyrobal #chrzaszcze

4d26b785-61bf-40d2-a901-dad5d4c2e508
083e1fab-d06d-4aff-896d-d7b6b3fce511
b3639381-beec-4739-86ac-350cd108e94c
49ed1120-9940-4142-b965-389bfb672220
70d2582c-b283-4e80-9daa-fc2dc0b42cb6
notak

Pamiętam jak podobne larwy znajdywałem w ogródku podczas przekopywania i mój kot je uwielbiał wcinać xDDD

Czekał na skraju ogródka aż coś wykopię i wciągał aż było słychać jak pękają w zębach xD

Na takim białeczku wyrósł konkretnie nie powiem.

Onestone

@notak szczytowy drapieżnik na swoim terenie - nawet robalom nie przepuści

Zaloguj się aby komentować

Giez bydlęcy duży, giez bydlęcy, bydleń (Hypoderma bovis) – owad z rodziny gzowatych, trochę przypomina trzmiela. 


Owad aktywny w okresie od czerwca do sierpnia. 

Kiedyś bardzo pospolity, obecnie raczej rzadki.


Długość ciała 12-15 mm. Larwy dorastają do 30 mm.


Narządy gębowe uległy całkowitemu uwstecznieniu, więc owad dorosły nie pobiera pokarmu, czyli na szczęście gzy nie kąsają.


Niestety, larwy gzów bydlęcych są pasożytami bydła domowego. Wywołują one schorzenie bydła noszące nazwę gzawicy lub też inaczej zwane hypodermatozą.


Gzy mają raczej mało ciekawe życie: samce giną po zapłodnieniu, a samice po złożeniu jaj.

Za to ich larwy, to już ciekawsza historia.


Jaja składane są na skórze żywiciela, przytwierdzone do włosa.

Po wykluciu, larwy przebijają się przez skórę i kierują się do kanału kręgowego. 

Tam żyją od 3 do 5 miesięcy.


Po tym okresie larwy wędrują pod skórę żywiciela, gdzie przekształcają się w II stadium. W tym czasie, zaczynają oddychać powietrzem atmosferycznym, więc muszą utworzyć dziurkę w skórze zakażonej krowy. Organizm broni się przed tym, tworząc wokół larwy torebkę z tkanki. Przez to obecność larwy manifestuje się w postaci guza wielkości orzecha włoskiego. 


Po tym stadium i pożeraniu biednej krówki przez około 1,5 do 2 miesięcy larwa powiększa otwór i opuszcza ciało gospodarz, aby swoją dalszą przemianę odbyć w ziemi. 


Trzeba przyznać, że mocno skomplikowany i trochę obrzydliwy cykl życiowy. 


Zdarzają się zakażenia człowieka. 


#porannyrobal #owady

481a1845-9c80-44b4-ac93-2a75290ddc3e
ad6285b5-e985-4871-9cb3-26fe7d7c09ed
0aecca38-f5a0-4f73-ba38-fd6291ed0ea3
fb3c2ce3-4b00-466b-9ef8-7d3a2d6a6bb5
Hoszin

Jak ja te qrwy nienawidzę

Zaloguj się aby komentować

Dziś jeden z topki najbardziej irytujących owadów: jusznica deszczowa (Haematopota pluvialis).

Jest to przedstawiciel rodziny bąkowatych. Ma duże oczy, mieniące się wieloma kolorami, ukośnymi, zygzakowatymi pasami.


Występuje na terenie całego kraju. Najczęściej można ją spotkać na pastwiskach w pobliżu wody.


Jak sama nazwa wskazuje jest to owad przejawiający swoją największą aktywność tuż przed deszczem, burzą, w parne, wilgotne dni. Żywi się krwią i jak namierzy swoją ofiarę, jest cholernie uparta w dążeniu do celu. Będzie za tobą lecieć, aż w końcu boleśnie ukąsi, zostawiając swędzący, opuchnięty ślad.


Cykl rozwojowy larwy tego owada trwa co najmniej rok i obejmuje aż dziesięć stadiów. Ostatnie stadium pojawia się tylko po przemrożeniu larw, gdyż okres mrozu jest niezbędny do ich pełnego rozwoju.


Podobno nie występuje na Białorusi.

Często nazywa się ją muchą końską.


#porannyrobal #owady

0ed932e2-1c56-4bb3-90af-1367a6fe89da
954d249d-1b1f-40aa-9916-53b91c89fe98
404cefaf-1d63-410e-a470-3ff77d38dad3
54fadab1-4804-4f63-865b-c58e769b5a91
Budo

@Onestone skurczysyn boli jak cholera jak to ukąsi. Na szczęście nie są aż tak popularne.

Barcol

@Onestone jest tak #konskiemuchy xd

Zaloguj się aby komentować

Osa pospolita (Vespula vulgaris) to bardzo pospolity owad, jeden z najczęściej występujących z rodziny osowatych.


Dorosłe osy żywią się pokarmem węglowodanowym: nektarem kwiatów, słodkimi sokami i soczystymi owocami.

Dlatego bywa bardzo uciążliwa, gdy człowiek spożywa posiłki na świeżym powietrzu. Lgnie wówczas do słodkich pokarmów i napojów.


Larwy natomiast żywią się pokarmem pochodzenia zwierzęcego, na przykład uśmierconymi i przeżutymi owadami (bardzo często muchami), gąsienicami i tym podobnymi.


Użądlenie osy pospolitej jest bolesne, ale dla większości ludzi nie stanowi zagrożenia dla zdrowia, poza przypadkami osób uczulonych, u których może powodować wstrząs anafilaktyczny.


#porannyrobal #owady

9ff3ac64-8b11-4140-b682-e34f9b79dd22
ae3acdb2-241f-412e-8716-53188b3b922f
4e3727f7-4796-4bce-b3e2-2e3236e1b79b
5e2e899a-06eb-425c-8bfb-8351a26cfd67
6d83eda1-6647-4efe-a962-1ff2d6bc9b6e
myoniwy

@Onestone dzisiaj mi się śniło że ktoś wypuścił perfumy z feromonami do ataku. Atakowały jak po⁎⁎⁎⁎ne.

Onestone

@myoniwy niezły koszmar.

Bystrygrzes

Moja żona jest na nie prawie w 100% odporna. Ugryzienie osy to jak drapanie zamka...

Wpadla jej kiedys pod kurtke motocyklowa, przejechalismy tak z 200 km i na parkingu wypadla -> 6 urządzeń a zona nicXD mowi ze ją to w ogole nie boli.

Ja natomiast po urzadleniu mam okolo 30 minut zeby dotrzec do szpitala, pozniej zaciska mi gardlo XD

PanNiepoprawny

Fajne, ale troche mało ciekawostek.

Zaloguj się aby komentować

Mrówka rudnica (Formica rufa) - pospolity gatunek mrówki, można ją spotkać w wielu polskich lasach.


Długość ciała robotnicy wynosi 6–9 mm, a samca i samicy 9–11 mm.


Tworzy ogromne mrowiska z igieł, gałązek i trawy poskładanych tak zręcznie, że budowla wytrzyma nawet kilkanaście lat!

Wewnątrz budowli mieszka nawet 100-400 tysięcy mrówek, więc przestrzeni wokół musi wystarczyć, aby kopiec dało się wznieść na wysokość nawet kilku metrów.


Rudnice słyną z agresji, którą przejawiają na wielu różnych frontach. W boju pomagają im nie tylko pokaźne szczęki, ale także kwas mrówkowy, którym bezlitośnie spryskują przeciwników.


Jedno mrowisko jest w stanie zlikwidować nawet 10 milionów insektów! Mimo, że podstawowym pokarmem rudnic jest spadź produkowana przez mszyce, chętnie urozmaicają one swą dietę pajęczakami i innymi owadami, zwłaszcza w postaci larwalnej. W poszukiwaniu pokarmu są gotowe oddalić się nawet 100 metrów od mrowiska.


#porannyrobal #owady #mrowki

da32a0f5-783b-4c74-ace9-a3bad3844830
ed29af8c-6db6-46bf-b133-5643541d5c5d
04d7f4ca-4d4f-4d79-a944-38352ab559e2
c25b1e2c-a32d-47ca-a0c8-83ab997983b8
04eb8c10-f9c7-4550-ba54-c4d95bc96eb3
Opornik

@Onestone lubię rudnicę bo tak fajnie stają na tylnych nóżkach, kiedy zbliżysz palec.

DKK

@Opornik Chcą się nakurwiać

Opornik

@DKK a nie tuli-tuli?

23c5d25d-3dee-42ee-8972-7841d6d09e6c
RogerThat

Znam trzy rodzaje mrówek. Czarne, czerwone i latające k⁎⁎wy faraonki xd

GazelkaFarelka

@Onestone kiedyś wystawiłam kwiata zainfekowanego przędziorkiem do szklarni, mrówki zrobiły sobie gniazdo w donicy i przy okazji wytłukły wszystkie przędziorki, a parę razy próbowałam chemią je wytępić i nie szło

Onestone

@GazelkaFarelka mrówki, przynajmniej te z naszej szerokości geograficznej, to zwykle pożyteczne stworzenia.

Zaloguj się aby komentować

Jelonek rogacz (Lucanus cervus) - prawdopodobnie największy i jeden z najpiękniejszych polskich chrząszczy.


Samice osiągają 25-50 mm, samce 35-80 mm.


Pokarmem jelonków są soki wyciekające ze zranionych drzew liściastych, przede wszystkim dębów. Samice nacinają korę w celu pozyskania soku.

Wielkie żuwaczki samca uniemożliwiają tę czynność i samce zmuszone są poprzestać na zlizywaniu już wyciekającego soku. Dorastające do ponad 100 mm pędraki odżywiają się zmurszałym drewnem, sporadycznie - korzonkami roślin. Rozwój larwalny rozłożony jest na 4-8 sezonów, zwykle 5.


Wielkie żuwaczki wykorzystywane są w okresie godowym. Samce, na początek, próbują zaimponować sobie ich wielkością, a gdy to nie pomoże używają ich do walki i zepchnięcia przeciwnika z gałęzi.


#porannyrobal #chrzaszcze

f1f32da2-088f-4467-ae31-d878a980efe0
5acc6339-8d56-4c67-b2d0-5e9925fc6822
f501f5cf-b535-43cd-8ca6-baf2bdd37746
25e3c1d3-d1bf-4989-a187-929270da1a7c
926626fc-f50f-4bab-ae2a-8674762a25c8
adamszuba

Ja też nie spotkałem polskiego jelonka. No i niestety nie można też ich hodować, bo są chronione...

Zaloguj się aby komentować

Księżycówka amerykańska (Actias luna) - duży motyl o rozpiętości skrzydeł dorosłych samic przekraczającej 13 cm. Tyle samo długości mogą osiągać żarłoczne larwy.


Podziwiać go możemy w Ameryce Północnej; głównie w Stanach Zjednoczonych, choć jego obecność zanotowano również w niektórych regionach Kanady. Lata zwykle na terenach zalesionych.


Larwy, poza widowiskowym żółtozielonym ubrankiem mogą okazać się „żywą apteką”. Wydzielają bowiem peptydy (tzw. cekropiny), niszczące grzyby i bakterie.


#porannyrobal #motyle

e21c7342-ed1d-4fa3-ac57-bca91e53dfca
6943ee71-4748-442d-8ccc-d35587a031e9
bacbeaf1-9ba7-47bc-82b8-3007bb52131e
f243df7b-a672-4237-84c0-d1588ee89dc7
72003cdb-207a-4c90-bce7-ed10e4f55983

Piórolotek zwyczajny (Emmelina monodactyla) - pospolity gatunek motyla, o nietypowym kształcie: w locie przypomina literę T. Rozpiętość skrzydeł 18-27 mm.


Piórolotek zwyczajny żyje w ogrodach i widnych lasach strefy umiarkowanej Europy. Jest pospolity, choć często niedostrzegany.


Jego rośliną żywicielską jest powój polny.


#porannyrobal #motyle

#cmy

8a63526c-72d0-4f0f-905f-ab1c1355cab8
1111516b-f001-4335-8b9e-6d6406868188
02be3a13-2698-4625-8e84-19b61e5eba45
ac42df38-9354-4415-93f3-a476ddc93458
Rzeznik

Dzięki za ciekawostkę. Taki trochę komaropodobny

Onestone

@Rzeznik @Eliasz_Oderman też mi się z komarem skojarzył.

Eliasz_Oderman

@Onestone trochę komar z wyglądu

HolQ

@Onestone Piórolotek zwyczajny - kocham polskie nazwy zwierząt

Onestone

@HolQ ma jeszcze kuzyna zwanego piórolotkiem pięciopiórem lub piórolotkiem śnieżynką

Onestone

@HolQ btw angielska nazwa T-ćma się chowa

Zaloguj się aby komentować

Zgniotek cynobrowy (Cucujus cinnaberinus) - Gatunek chrząszcza objęty ścisłą ochroną gatunkową w Polsce.


Owad wyróżnia się piękną, czerwoną barwą.

Dorosły osiąga 11-15 mm, larwy - nawet do 26 mm. 


Chrząszcze te żyją pod korą drzew liściastych – przede wszystkim topól, dębów i grabów. Dorosłe osobniki są aktywne w dzień i płochliwe – po odsłonięciu kory szybko się chowają w szczeliny drewna.

Larwy często spotykane są gromadnie. Zaniepokojone, reagują gwałtownymi ruchami głowy i tułowia na boki.


#porannyrobal #chrzaszcze

a5f33f99-61e4-4eb2-be9e-3e6133acda18
906ceb7d-ceb1-43a3-9697-bac2d7fe50f7
021d4202-3468-4bc6-969f-58a173604f02
68d3942f-2cec-40a3-bd65-2deb8cd5b2d6
fiflak

O proszę hejto uczy i bawi. W sobotę się zastanawiałem co to za robale jak drzewo rąbałem.

Onestone

@fiflak dla mnie, to też świetna okazja do nauki, wyszukać jakiś ciekawy gatunek i wyciągnąć kilka informacji o nim.

Zaloguj się aby komentować